ВНИМАНИЕ! ВРЕМЕННОЕ ПРЕКРАЩЕНИЕ ДВИЖЕНИЯ!
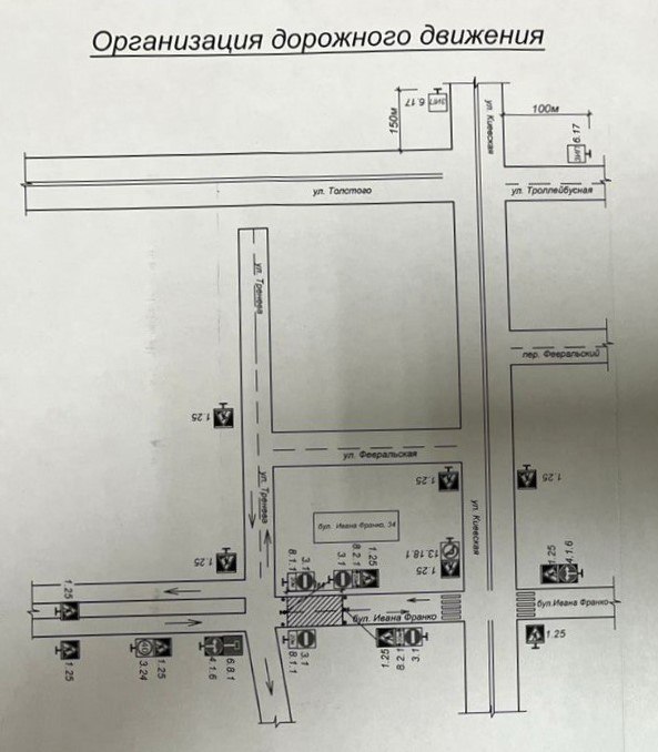
В период с 01.11.2025 по 04.11.2025 вводится временное прекращение движения транспортных средств по участку улично-дорожной сети бул. Франко с перекрытием автодороги бул. Франко (от автодороги ул. Тренева в районе здания № 34 по бул. Франко при направлении движения в сторону автодороги ул. Киевская).
Мероприятия обусловлены проведением ГУП РК «Крымтеплокоммунэнерго» срочных аварийных работ на сетях теплоснабжения.
Администрация города Симферополя просит жителей и гостей города учесть данную информацию при планировании маршрутов транспортного передвижения.











































