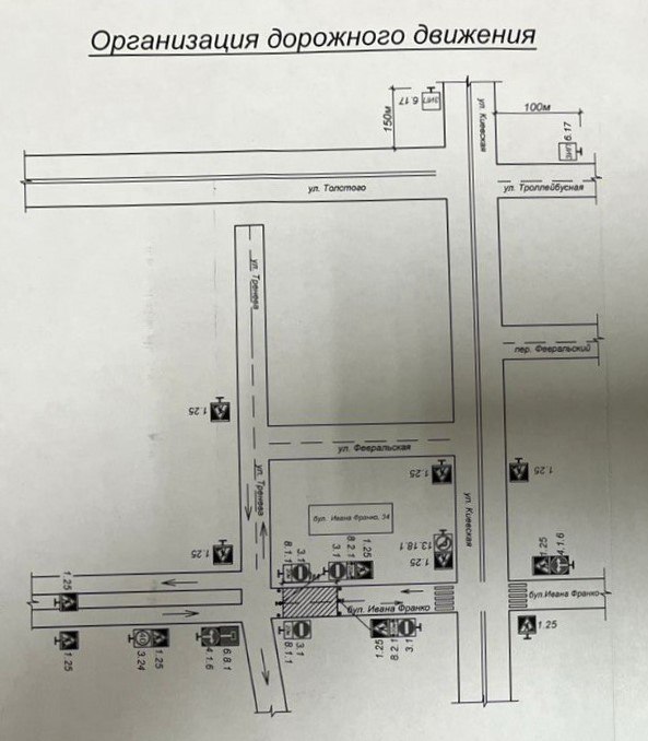
Бульвар Франко в Симферополе частично перекрыли на 4 дня
Движение авто ограничено от улицы Тренева в районе здания №34 по бульвару Франко в сторону улицы Киевская.
Это связано с проведением срочных аварийных работ на сетях теплоснабжения, сообщили в администрации города.
: Администрация Симферополя











































